Zur Schwammer-Übersicht
18.05.2019: Aus
"Steine suchen" wurde nix - aber dafür... - Teil 4
Untertitel:
Triviales und Geniales
Liebe Pilz-Freunde,
dies ist Teil 4 des Berichtes vom 18.05.2019.
Teil 1 findet Ihr hier
Teil 2 findet Ihr hier
Teil 3 findet Ihr hier
Teil 5 findet Ihr hier
Teil 6 findet Ihr hier
Teil 7 findet Ihr hier
Und weiter geht's...
Fundnummer: 2019-05-18-1205
Am
Tümpel machten wir wie üblich ein bisschen Stöckchendrehen.
Sehr erfreulich für mich, da sich gleich ein toller Erstfund finden
ließ:
Braungraues Weichbecherchen (Mollisia olivaceocinerea):

☻

☻

☻

☻
Fundnummer:
2019-05-18-1211
Auch Amina schaute sich um und fand im Tümpel einen
Teichmolch (Triturus vulgaris):

☻
Fundnummer: 2019-05-18-1214
Dieser
verdächtige rötliche Ast Nummer 3 musste natürlich auch
noch in Dieter's Rucksack wandern:

☻
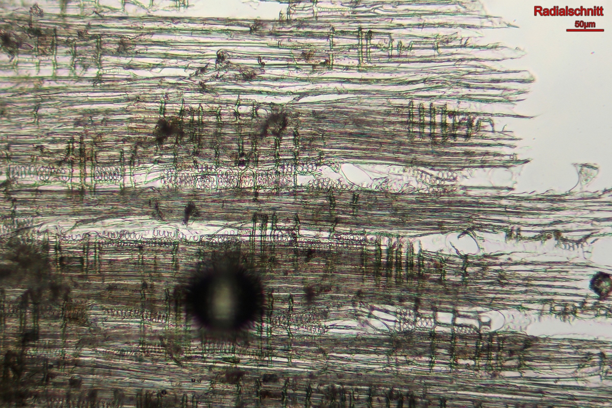
Zunächst machte ich hier eine Holzbestimmung.
Gefäßzellen/Poren oder nur Tracheiden?:
Gefäßzellen/Poren --> also Laubholz
Porenform:
Diffus- und (unsicher) einzel-porig
Porenausrichtung:
nicht ausgerichtet (diffus)
Porenverästelung vorhanden?: nein
Strahlenart:
heterogen
Strahlenbreite:
einreihig (uniseriate)
Strahlenvereinigung vorhanden?: nein
Perforation plates:
einfach oval
Spiralverdickungen:
nicht vorhanden
Damit ist das sehr wahrscheinlich
Weide (Salix)
Hier die Mikrobilder:

☻
Obwohl ich skeptisch war über das Ergebnis (Salix), ist die Strahlenart definitiv
heterogen (rote Pfeile):

☻

☻

☻

☻
Hier war ich mir nicht sicher ob Spiralverdickungen vorhanden waren - würde
bei den Fransen aber her auf abgeschnittene Strahlenporen tippen:

☻
Der erste Fund auf diesem Ast war gleich etwas Gutes,
wenn auch nur cf. bestimmbar:
Fundnummer: 2019-05-18-1214-A
Ein wunderschöner Helicoil...
Mikroskopische und Morphologische Daten:
Ca. 5-6 Windungen, Konidien-Breite ca. 4-5 µm, Coil-Länge ca. 21-26 µm,
Coil-Durchmesser ca. 18-21 µm.
Die Helicoils hängen traubenartig an einer verzweigten Konidiophore, so
erscheinen jeweils Konidientrauben von mehreren (bei dieser Kollektion 5-7) Stück.
Damit ist das optisch zwar eindeutig Helicoon dendroides, was jedoch abweicht
ist die Oberfläche des Astes, denn Helicoon dendroides besiedelt nur berindete
Äste.
Der Pilz ist sehr klein und mit der Lupe nicht zu erkennen. Ich fand nur 4
Trauben am Holz. Nach dem erstellen der Bilder gelang es mir nicht, den
Pilz am Holz wieder zu finden, obwohl ich es nur kurz vom Kreuztisch nahm um die
Trauben auf einen Objektträger zu bringen. Somit waren leider keine
Mikrobilder möglich.
Die Holzart hilft uns bei der Bestimmung leider nicht weiter.
Wahrscheinlich ist hier jedoch der
Traubenartige Helicoil-Wasserpilz (Helicoon cf. dendroides),
da die makroskopische Struktur und Maße dafür einwandfrei passen.
Abweichend ist das Substrat, welches laut "Die aero-aquatischen Pilze des
Sauwaldgebietes - Hermann Voglmayr (2000)" nur "berindete Äste" sind:

☻
Ebenso an Ast Nummer 3 fand sich eine weitere hochinteressante Pseudaegerita...
Fundnummer:
2019-05-18-1214-C
Morphologische Daten:
Substrat: Ast Nummer 3 (Daten siehe vorhergehend)
Inkubationsdaten: Holz 18 Tage in schwach
belüfteter Tageslicht-Feuchtekammer
Konidienfarbe: Im Auflicht: schmutzig weiß über olivgrün bis dunkelgrün; im
Durchlicht: bräunlich bis oliv-grünlich
Mikroskopische Daten und Bilder:
Konidien Auflichtmessung:
(55,8) 75,9 - 115,3 (182,4) µm; N = 41; Me = 96,7 µm
Einzelzellen:
selten globos, häufig sub-triangular und
3-dimensional poly-angular
Maße: (3,5) 4,1 - 5,0 (5,3) µm; N = 24; Me = 4,5 µm
Hyphen: bräunlich, septiert
Konidiophoren: einzeln aufsteigend, bräunlich
Phialiden-Form: nicht gesehen
Zusammenhalt der Konidien: Im Präparat nicht leicht in Fragmente
zerfallend

☻

☻

☻

☻

☻

☻

☻

☻

☻

☻

☻

☻
Auch hier verwendete ich den neu erstellen Schlüssel - welcher zu einem
überraschenden aber eindeutigen Ergebnis führt:

Nach Prüfung aller mir zugänglicher Literatur bleibt nur eine Möglichkeit
übrig:
Knochenzelliger Luft-Bulbillenpilz (Pseudaegerita ossiformis):

☻

☻

☻

☻

☻
Nach 3 Wochen Inkubationszeit machte Matthias
nochmals eine Datenaufnahme.
Die Konidienkugeln haben sich noch dunkler verfärbt:

☻

☻

☻

☻

☻

☻

☻
Weiter zum Teil 5